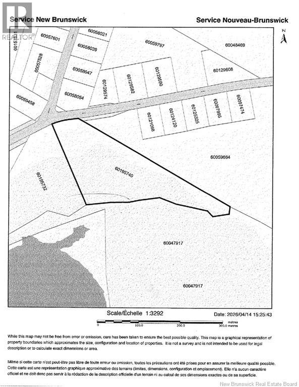
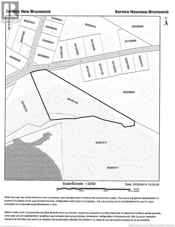
Lot Smith Road French Lake, New Brunswick E2V 3S9

Waterfront On Lake Acreage

$77,500

This large treed lakefront parcel is located in a highly desirable area, offering the perfect blend of privacy, natural beauty, and waterfront living. With plenty of mature trees and a peaceful setting, the property provides an ideal backdrop for your future dream home, seasonal retreat, or investment opportunity. Enjoy the quiet surroundings, beautiful lake views, and the space to create the lifestyle youve been looking for. A rare opportunity to own a sizeable piece of lakefront land in a great area, with endless potential and a truly scenic setting. (id:64343)

Property Details

MLS® Number NB137282
Property Type Vacant Land
Amenities Near By Recreation Nearby, Park
Community Features Fishing
Features Treed, Golf Course/parkland
Structure None
View Type Lake View
Water Front Type Waterfront On Lake

Building

Utility Water None

Land

Access Type Year-round Access, Public Road
Acreage Yes
Land Amenities Recreation Nearby, Park
Sewer No Sewage System
Size Irregular 4.03
Size Total 4.03 Hec
Size Total Text 4.03 Hec

https://www.realtor.ca/real-estate/29608571/lot-smith-road-french-lake

Contact Us

Contact us for more information


Generating Captcha

Your Favourites

 

No Favourites Found