Acreage
$195,000
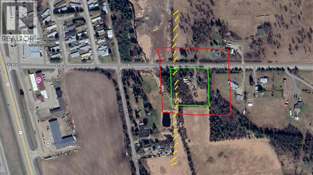
Experience the perfect blend of seclusion and accessibility. Located just one minute east of Rainbow Ford, this beautifully treed 1.5-acre parcel offers the privacy of country living with nearly instant access to town amenities. Fully Serviced: Power, natural gas, septic, and a water well are already on-site and ready for use. Build-Ready: Features a large cleared area and established parking, making it an ideal site for your new home. Flexible Options: The property currently hosts a rental mobile home. A buyer can choose to assume the current tenant for immediate income or request the unit be moved (minimum 3 months' notice required). (id:64343)
Property Details
|
MLS® Number
|
A2300202 |
|
Property Type
|
Vacant Land |
|
Amenities Near By
|
Schools, Shopping |
|
Plan
|
593hw |
Building
|
Age
|
Age Is Unknown |
|
Utility Water
|
Well, Private Utility |
Land
|
Acreage
|
Yes |
|
Fence Type
|
Not Fenced |
|
Land Amenities
|
Schools, Shopping |
|
Sewer
|
Septic Field, Septic Tank |
|
Size Irregular
|
1.50 |
|
Size Total
|
1.5 Ac|1 - 1.99 Acres |
|
Size Total Text
|
1.5 Ac|1 - 1.99 Acres |
|
Zoning Description
|
Cr |
Utilities
|
Electricity
|
Available |
|
Natural Gas
|
Available |
|
Sewer
|
Available |
|
Water
|
At Lot Line |
https://www.realtor.ca/real-estate/29590721/71037-township-road-39-3-rural-clearwater-county