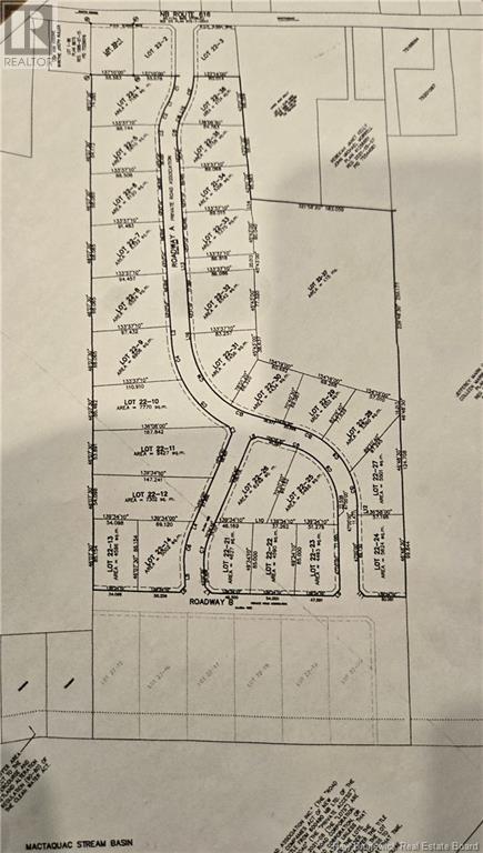
Lot 22-36 Route 616 Keswick Ridge, New Brunswick E6L 1S6

Acreage

$73,900

Welcome to Kedhill Estates Keswick Ridges Newest Scenic Community! Discover the charm of Kedhill Estates, a stunning new development nestled in Keswick Ridge, offering breathtaking views of the Mactaquac Headpond. From golden sunrises to vibrant sunsets, each day brings its own postcard-perfect moment right to your front porch. This thoughtfully designed community features generous 1+ acre lots, with select properties offering up to 3 acres of spaceperfect for building your dream home in natures backyard. Land and home packages are available, and builders are welcome! Residents of Kedhill Estates enjoy shared access to the headpond, making it easy to launch a boat, cast a line, take a swim, or simply soak up the peaceful surroundings. Conveniently located just 20 minutes from Fredericton, the community is close to everything you need: Mactaquac Provincial Park A haven for golfers, hikers, and outdoor lovers Crabbe Mountain Only 15 minutes away for winter adventures Extensive ATV and snowmobile trails practically at your doorstep Whether you're a nature enthusiast, a boater, a skier, or simply someone looking for a peaceful place to call home, Kedhill Estates truly has it all. Take a drive through this beautiful new subdivision today and imagine the view from your future front deckyou just might never want to leave. Vendors are related to listing REALTOR® who is Licensed in Province of New Brunswick. (id:31622)

Property Details

MLS® Number NB120982
Property Type Vacant Land
Amenities Near By Golf Course, Ski Hill
Community Features Fishing
Features Rolling, Golf Course/parkland

Building

Utility Water None

Land

Access Type Year-round Access, Private Road, Public Road
Acreage Yes
Land Amenities Golf Course, Ski Hill
Sewer No Sewage System
Size Irregular 4734
Size Total 4734 M2
Size Total Text 4734 M2
Soil Type Unknown

https://www.realtor.ca/real-estate/28481967/lot-22-36-route-616-keswick-ridge

Contact Us

Contact us for more information


Generating Captcha

Your Favourites

 

No Favourites Found